肌画像診断

肌画像診断とは

薄ジミ・隠れジミのシミ取りをご希望の方を対象に、最新のカメラと解析技術で
シミ・キメ・シワ・毛穴・隠れジミ・炎症・ポルフィリン(ニキビの元になるアクネ菌の代謝物)
などを一度に解析・診断します。

機器紹介

VISIA® Evolution〜ビジア エボリューション〜
Canfield Scientific, Inc. (米国)

世界中のクリニックや研究機関で使用されているVISIA(ビジア)。最新のカメラと解析技術でシミ・キメ・シワ・毛穴・隠れジミ・炎症・ポルフィリン(ニキビの元になるアクネ菌の代謝物)など一度に【8項目】を解析できるため、患者様に対して今どのような施術を必要としているのか?施術の効果は出ているのか?など前後比較を行い細かく分析することが可能です。他にも肌年齢の表示加齢後のシミュレーションなどを搭載。一台で様々な計測を可能にしています。

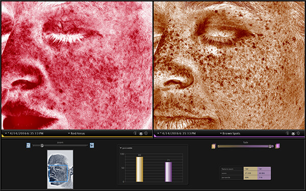
肌画像診断の解析例

肌画像診断は、薄ジミ・隠れジミのシミ取り治療をお受けになる方を対象に実施いたします。
下記は肌画像診断で実施する診断項目の一例です。

肌画像診断結果画像のご確認

薄ジミ・隠れジミの診察で肌画像診断をお受けになられた方は、
お肌の状態を視覚的にご確認いただける肌画像診断結果画像をご覧になれます。
当院ではこの画像をもとに、最適な治療方針をご提案いたします。

肌画像診断は、薄ジミ・隠れジミのシミ取りをお受けになる方の診察や効果判定を行う目的で提供しております。
肌画像診断のみの診療は提供しておりませんので、あらかじめご了承ください。

〒864-0057
熊本県荒尾市大島字角田101-6

月・火・木・金  9:00 – 12:20
14:00 – 17:30
 9:00 – 12:20
 9:00 – 12:50
月・火・木・金  9:00 – 12:30
14:00 – 17:30
 9:00 – 12:30
 9:00 – 12:30